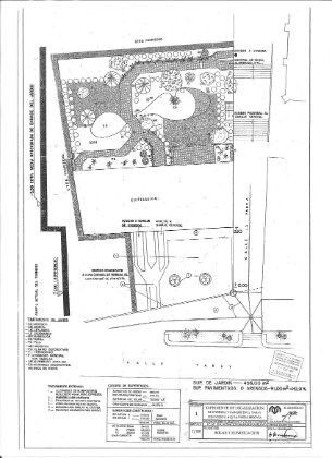
El portavoz de IU en el Ayuntamiento de Segovia, Luis Peñalosa, ha remitido este viernes un escrito dirigido al alcalde de la ciudad, Pedro Arahuetes, en el que, tras el ofrecimiento a hacer sugerencias sobre el derribo de la Casa de la Parra, propone mantener el especio ajardinado y legalizar los garanjes. A continuación se muestra la carta íntegra y dos croquis de cómo quedaría la zona tal y como lo plantea IU.
"Sr. Alcalde:
En respuesta a su escrito de 12 de marzo de 2014, nº de registro 2014006748, mediante el que se me ofrece la posibilidad de formular sugerencias referentes al Proyecto de obras de derribo de la edificación y garajes existentes en la calle La Parra nº 4 c/v a calle Taray nº 3, de Segovia, quiero hacer, en nombre del Grupo Municipal de Izquierda Unida, la siguiente propuesta:
1º) Estamos de acuerdo en la propuesta de derribo del edificio ilegalmente construido.
2º) Así mismo, estamos de acuerdo con la rasante superficial que se establece en el proyecto de derribo, es decir, la que quedaría una vez ejecutado el mismo. Consideramos que esta rasante es el aspecto fundamental para restituir la legalidad urbanística, alterada al construir sobre ese espacio libre en el que no existía edificación alguna cuando se concedió la licencia.
3º) Consideramos, sin embargo, que debería mantenerse el espacio ajardinado existente en la parte posterior del edificio, ya que esto es coherente con la recuperación del espacio libre preexistente, para lo cual seria necesario mantener la estructura que actualmente soporta al mismo y en el que se ubican los garajes.
4º) Posteriormente a la ejecución del derribo del edificio, se debería intentar, como se establecía en el acuerdo municipal firmado entre los grupos del PSOE e IU, la legalización de los garajes existentes bajo el espacio ajardinado, por lo que no tiene sentido rellenar de tierra ese volumen que ocupan, al igual que ocurre con la entrada, también subterránea, de acceso a los mismos.
4º) Finalmente, habría que proceder al ajardinamiento del talud que, según el proyecto de derribo, quedaría entre la zona actualmente ajardinada y el muro de cerramiento por la calle Taray.
Esta propuesta, que nuestro Grupo trasladara así mismo al Tribunal, consideramos que es la más racional y la que causa menos perjuicios, tanto al Ayuntamiento como a los propietarios de los garajes y debería, a nuestro juicio, ser apoyada por el Gobierno Municipal ante los Tribunales de Justicia como corresponda".
Luis Peñalosa Izuzquiza, Portavoz Municipal de Izquierda Unida







Normas de participación
Esta es la opinión de los lectores, no la de este medio.
Nos reservamos el derecho a eliminar los comentarios inapropiados.
La participación implica que ha leído y acepta las Normas de Participación y Política de Privacidad
Normas de Participación
Política de privacidad
Por seguridad guardamos tu IP
216.73.216.190